Gemeinderatsprotokolle seit 2002

Jahr: 2017

/ Ausgabe: 12_Protokoll_09.11.2017.pdf

- S.91

Suchen und Blättern in über 500 PDFs und 44.000 Seiten.





vorhergehende ||| nächste Seite im Dokument

Zur letzten Suche
Diese Ausgabe – 12_Protokoll_09.11.2017.pdf
Ausgaben dieses Jahres – 2017
Alle Ausgaben

Dieses Bild anzeigen/herunterladen
Gesamter Text dieser Seite:
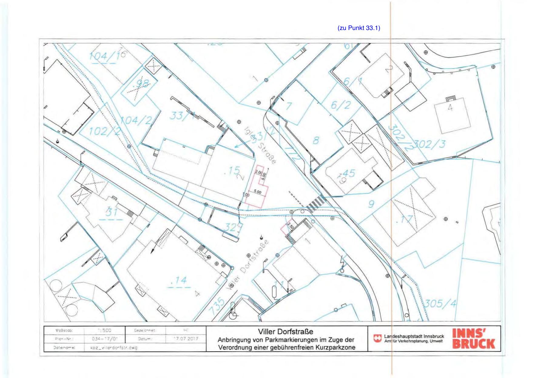
(zu Punkt 33.1)

4

[
..

-1i

~
)
: .. .....
~

""

o

.... ..

, ,
/

D~"1.

. " -5"(",...

°0

~
~

-",

$



o""~

$" ""
,,0

A

,I

~

.. ~ ....

.



~

r-- ---__

/7

. 74
~

~
V c9~ ,c"

sec

"cn _V

::l..l~-·7/0·

) C" "n o- ~ -

~=>z_ ...

c;..u o~n e "

e-co-"s;".c w:;

.)c ,~-

_.
"7C72C"7

Viller Dorfstraße
Anbringung von Parkmarkierungen im Z uge der

,., L31}11eShauptstadt Innsbruck
W ifUr Verlo.e~. ~

Verord nuna einer gebührenfreien Kurzoarkzone
i

111115"

BRUCK